Copyright foxweather

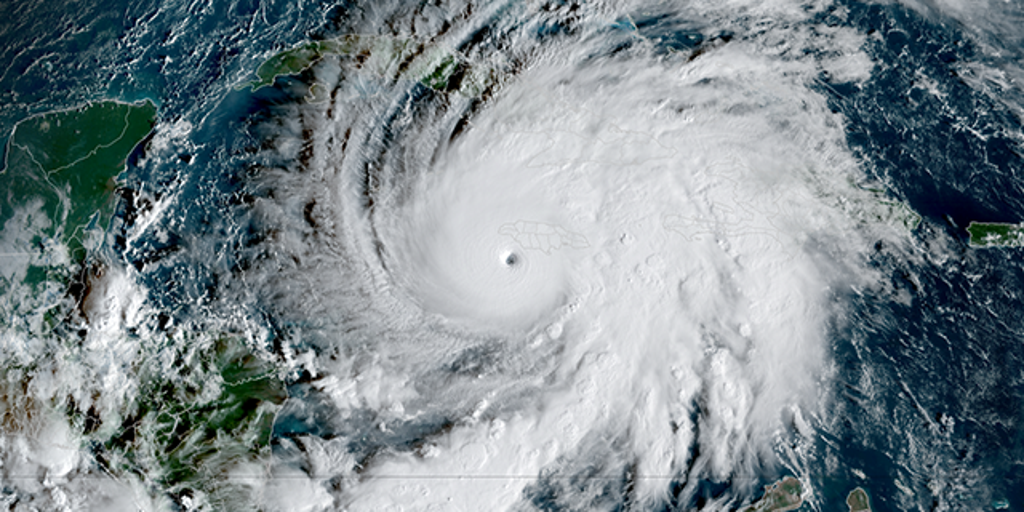
KINGSTON, Jamaica - Hurricane Melissa is continuing to intensify as the eye of the monster storm approaches the southwestern coast of Jamaica, with forecasters saying winds within the Category 5 hurricane have increased to 185 mph - making the catastrophic storm one of the most intense hurricanes on record as the eyewall begins to move onshore. For days, Jamaica’s government has been warning its residents and visitors to make preparations ahead of the monster storm’s landfall, and people have been rushing to stock up on food and water to sustain them through what will likely be long-duration power and communication outages due to the storm's ferocious impacts. However, fears are growing that the Category 5 hurricane’s destructive 185-mph winds may be too strong for buildings to handle, and officials are warning that those winds could lead to "total structural failure" near the path of Melissa’s powerful core. HOW TO WATCH FOX WEATHER Hurricane Melissa has been slowly spinning to the south of Jamaica, moving erratically over the warm waters of the Caribbean. But now Melissa is interacting with a cold front that is starting to pull the storm to the north-northeast and eventually northeast on a path that will likely slice through the middle of the island. Hurricane Melissa is hours away from its expected landfall in Jamaica late Tuesday morning or early Tuesday afternoon, but the storm has already been deadly. "I’m very sad to say that over the past few days in preparation of the storm, we’ve had three deaths," Jamaica’s Minister of Health and Wellness Dr. the Hon. Chrisopher Tufton, MP, said. "Three deaths linked to cutting down of trees. And in one instance, electrocution because of or due to the cutting down of a tree." Injuries have also been reported, with Tufton saying most injuries were due to people falling from trees or rooftops, car crashes and one person who was walking through water and had "a nail penetrate their skin." DOWNLOAD THE FREE FOX WEATHER APP Most people across Jamaica have been seeking shelter inside sturdy structures, but Jamaica Prime Minister Andrew Holness said shelter occupancy has been low in some parishes. Officials said there are more than 800 shelters open for residents, but as of Monday night, only 76 were in use. Those numbers were expected to rise, however. "Shelters are free and safe," Holness said in a Facebook post. "Families stay together, and residents should bring medications, water and snacks. False reports about fees or restrictions should be ignored." But time is quickly running out for those who have still not made it into shelters, as conditions are deteriorating rapidly across Jamaica. HURRICANE MELISSA IS THE THIRD CATEGORY 5 HURRICANE THIS SEASON, A FIRST IN 20 YEARS "Remain sheltered," the National Hurricane Center (NHC) said in its latest advisory. "Catastrophic flash flooding, landslides and destructive winds will continue through today, causing widespread infrastructure damage, power and communication outages and isolated communities." And along the southern coast of Jamaica, a life-threatening storm surge and damaging waves lashing beaches are likely. The NHC issued an ominous warning to residents of Jamaica in its latest forecast discussion: "Failure to act may result in serious injury or loss of life." BRYAN NORCROSS: CATEGORY 5 HURRICANE MELISSA HEADING FOR JAMAICA'S SOUTH COAST Hurricane Melissa could lead to humanitarian crisis in Jamaica FOX Weather Correspondent Robert Ray has been on the ground in Jamaica since last week and got a firsthand look at what the government and residents were doing to prepare for Hurricane Melissa. He spoke with Jamaica’s Minister of Labor and Social Security, Pearnel Charles, Jr., who said the country had been making every effort to save lives ahead of the storm’s worst impacts. "We’ve asked persons to not wait until it gets too difficult to evacuate or save you," he said. "If there is ever a time to listen and to take action, this is now." Jamaica’s emergency operations center has been activated, resources have been pre-positioned to immediately begin recovery efforts after the storm passes, and residents in low-lying areas have been evacuated. Those evacuation orders, which include areas like Port Royal in Kingston, where Ray was reporting over the weekend and into Monday, will remain in effect until conditions improve. Ray and his team on the ground packed up and headed north later Monday and arrived in St. Ann Parish, where they will remain as Hurricane Melissa slices across Jamaica. "Well, I could tell you right now, I mean, we were speaking to locals (Monday night), and the feeling is of utmost anxiety and nerves," Ray said on Tuesday morning. "Everyone knows that this is imminent and there is going to be catastrophic scenarios across the island of Jamaica, and the preparations have been intense for the past 72 hours or even more." And after the storm lets up, fears are growing that this could become a disaster Jamaica has never seen before. "The government has been working diligently around the clock to open shelters and try to inform everyone here on the island nation of Jamaica exactly what lies ahead, which is historic and potentially a humanitarian crisis. And that humanitarian crisis will come from the lack of power, the lack of cell service, and the ability to not get provisions – water, food and aid." What's the latest with Hurricane Melissa? This graphic shows information on Hurricane Melissa.(FOX Weather) As of the latest forecast information from the NHC, Hurricane Melissa is packing maximum sustained winds of 185 mph – making it a catastrophic Category 5 hurricane. The pressure within Hurricane Melissa was measured at 892 millibars – stronger than Hurricane Katrina's 902-millibar minimum central pressure before it made its catastrophic landfall along the U.S. Gulf Coast in the Southeast in August 2005. Hurricane Melissa now ties for the No. 3 spot on the all-time most intense hurricanes on record in the Atlantic basin. The storm that remains in the top spot is Hurricane Wilma in 2005, which had a pressure measuring 882 millibars. Melissa will also be the first landfall of a Category 5 hurricane since Hurricane Dorian struck the northwestern Bahamas on Sept. 1, 2019. Hurricane Melissa is currently located about 50 miles to the south-southeast of Negril, Jamaica, and is moving off to the north-northeast at 7 mph. A turn to the northeast with an increase in forward speed is expected later Tuesday, followed by a faster northeastward motion on Wednesday and Thursday. This graphic shows the forecast track for Hurricane Melissa.(FOX Weather) On that forecast track, the NHC said the center of Melissa will likely move over Jamaica on Tuesday, across southeastern Cuba on Wednesday morning, and across the southeastern or central Bahamas later Wednesday. Hurricane Warnings remain in effect for Jamaica, portions of eastern Cuba and the southeastern and central Bahamas.
 
                            
                         
                            
                         
                            
                        