Copyright thehindu

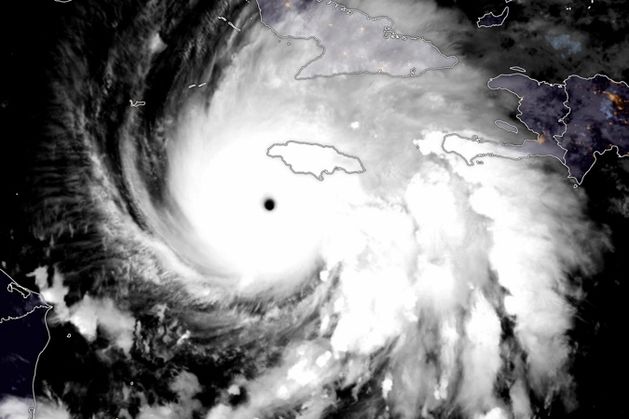
A holiday was declared for all government and private schools in Nagarkurnool on Wednesday (October 29, 2025). Besides, the Summative Assessment (SA)-II exam scheduled for today was postponed, said A Ramesh Kumar, District Education Officer, Nagarkurnool. The next date of the exams would be informed later. The district Collector, Badavath Santhosh, has been reviewing the impact of the Cyclone Montha in the district since this the morning and gave instructions to officials from various departments. The paddy brought to the procurement centres by farmers , as well as the grains kept in various places for drying, has to be secured from getting soaked. Mr. Santosh directed officials to provide farmers with tarpaulin sheets and they have to be informed of the cyclone’s impact.The agriculture produce transported from procurement centres to mills has to be unloaded immediately. He urged fishers to avoid venturing into rivers, lakes, ponds, canals, reservoirs for fishing and other purposes as floods were predicted due to the rains over the next 72 hours.