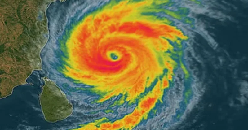
മന്ഥ ചുഴലിക്കാറ്റ് ചുഴലിക്കാറ്റ് : നൂറോളം ട്രെയിനുകൾ റദ്ദാക്കി റെയിൽവേ, ഇൻഡിഗോയുടെയും എയർ ഇന്ത്യ എക്സ്പ്രസിന്റെയും എല്ലാ സർവീസുകളും റദ്ദാക്കി
മന്ഥ ചുഴലിക്കാറ്റ് ചുഴലിക്കാറ്റ് : നൂറോളം ട്രെയിനുകൾ റദ്ദാക്കി റെയിൽവേ, ഇൻഡിഗോയുടെയും എയർ ഇന്ത്യ എക്സ്പ്രസിന്റെയും എല്ലാ സർവീസുകളും റദ്ദാക്കി
Homepage   /    travel   /    മന്ഥ ചുഴലിക്കാറ്റ് ചുഴലിക്കാറ്റ് : നൂറോളം ട്രെയിനുകൾ റദ്ദാക്കി റെയിൽവേ, ഇൻഡിഗോയുടെയും എയർ ഇന്ത്യ എക്സ്പ്രസിന്റെയും എല്ലാ സർവീസുകളും റദ്ദാക്കി

മന്ഥ ചുഴലിക്കാറ്റ് ചുഴലിക്കാറ്റ് : നൂറോളം ട്രെയിനുകൾ റദ്ദാക്കി റെയിൽവേ, ഇൻഡിഗോയുടെയും എയർ ഇന്ത്യ എക്സ്പ്രസിന്റെയും എല്ലാ സർവീസുകളും റദ്ദാക്കി

ജന്മഭൂമി ഓണ്‍ലൈന് 🕒︎ 2025-10-29

Copyright janmabhumi

മന്ഥ ചുഴലിക്കാറ്റ് ചുഴലിക്കാറ്റ് : നൂറോളം ട്രെയിനുകൾ റദ്ദാക്കി റെയിൽവേ, ഇൻഡിഗോയുടെയും എയർ ഇന്ത്യ എക്സ്പ്രസിന്റെയും എല്ലാ സർവീസുകളും റദ്ദാക്കി

TCF vendors Exponential Interactive, Inc d/b/a VDX.tvCookie duration: 90 (days).Data collected and processed: IP addresses, Device identifiers, Probabilistic identifiers, Browsing and interaction data, Non-precise location data, Users’ profiles, Privacy choicesmoreCookie duration resets each session. View details | Storage details | Privacy policy Index Exchange Inc. Cookie duration: 395 (days).Data collected and processed: IP addresses, Device characteristics, Device identifiers, Non-precise location data, Precise location data, Privacy choicesmoreCookie duration resets each session. Uses other forms of storage.View details | Storage details | Privacy policy QuantcastCookie duration: 1825 (days).Data collected and processed: IP addresses, Device characteristics, Device identifiers, Probabilistic identifiers, Authentication-derived identifiers, Browsing and interaction data, User-provided data, Non-precise location data, Users’ profiles, Privacy choicesmoreCookie duration resets each session. Uses other forms of storage.View details | Storage details | Privacy policy BeeswaxIO CorporationCookie duration: 395 (days).Data collected and processed: IP addresses, Device characteristics, Device identifiers, Probabilistic identifiers, Browsing and interaction data, Non-precise location data, Precise location data, Privacy choicesmoreCookie duration resets each session. Uses other forms of storage.View details | Storage details | Privacy policy Sovrn, Inc.Cookie duration: 365 (days).Data collected and processed: IP addresses, Device characteristics, Device identifiers, Browsing and interaction data, Non-precise location data, Users’ profiles, Privacy choicesmoreCookie duration resets each session. Uses other forms of storage.View details | Storage details | Privacy policy Adkernel LLCCookie duration: 180 (days).Data collected and processed: IP addresses, Device identifiers, Non-precise location data, Precise location data, Users’ profilesmoreCookie duration resets each session. View details | Storage details | Privacy policy AdikteevDoesn't use cookies.Data collected and processed: IP addresses, Device characteristics, Device identifiers, Probabilistic identifiers, Authentication-derived identifiers, Non-precise location data, Users’ profilesmoreUses other forms of storage.View details | Privacy policy RTB House S.A.Cookie duration: 365 (days).Data collected and processed: IP addresses, Device characteristics, Device identifiers, Browsing and interaction data, Non-precise location data, Users’ profiles, Privacy choicesmoreCookie duration resets each session. Uses other forms of storage.View details | Privacy policy The UK Trade Desk LtdCookie duration: 365 (days).Data collected and processed: IP addresses, Device characteristics, Device identifiers, Probabilistic identifiers, Authentication-derived identifiers, Browsing and interaction data, Non-precise location data, Precise location data, Users’ profiles, Privacy choicesmoreCookie duration resets each session. Uses other forms of storage.View details | Storage details | Privacy policy Nexxen Inc.Cookie duration: 180 (days).Data collected and processed: IP addresses, Device characteristics, Device identifiers, Probabilistic identifiers, Browsing and interaction data, Non-precise location data, Users’ profiles, Privacy choicesmoreCookie duration resets each session. Uses other forms of storage.View details | Storage details | Privacy policy EpsilonCookie duration: 396 (days).Data collected and processed: IP addresses, Device characteristics, Device identifiers, Probabilistic identifiers, Authentication-derived identifiers, Browsing and interaction data, User-provided data, Non-precise location data, Users’ profiles, Privacy choicesmoreCookie duration resets each session. Uses other forms of storage.View details | Privacy policy Yahoo EMEA LimitedCookie duration: 750 (days).Data collected and processed: IP addresses, Device characteristics, Device identifiers, Probabilistic identifiers, Authentication-derived identifiers, Browsing and interaction data, Non-precise location data, Precise location data, Users’ profiles, Privacy choicesmoreCookie duration resets each session. View details | Storage details | Privacy policy ADventori SASCookie duration: 90 (days).Data collected and processed: IP addresses, Device identifiers, Probabilistic identifiers, Browsing and interaction data, User-provided data, Non-precise location data, Privacy choicesmoreCookie duration resets each session. Uses other forms of storage.View details | Storage details | Privacy policy Triple Lift, Inc.Cookie duration: 90 (days).Data collected and processed: IP addresses, Device characteristics, Device identifiers, Authentication-derived identifiers, Browsing and interaction data, Non-precise location data, Precise location data, Users’ profiles, Privacy choicesmoreCookie duration resets each session. Uses other forms of storage.View details | Privacy policy Xandr, Inc.Cookie duration: 90 (days).Data collected and processed: IP addresses, Device characteristics, Device identifiers, Authentication-derived identifiers, Browsing and interaction data, Non-precise location data, Precise location data, Users’ profiles, Privacy choicesmoreCookie duration resets each session. Uses other forms of storage.View details | Storage details | Privacy policy Nexxen Group LLCCookie duration: 365 (days).Data collected and processed: IP addresses, Device characteristics, Device identifiers, Probabilistic identifiers, Non-precise location data, Users’ profiles, Privacy choicesmoreCookie duration resets each session. View details | Storage details | Privacy policy NEURAL.ONECookie duration: 365 (days).Data collected and processed: IP addresses, Device characteristics, Probabilistic identifiers, Browsing and interaction data, Non-precise location data, Privacy choicesmoreCookie duration resets each session. Uses other forms of storage.View details | Storage details | Privacy policy ADITION (Virtual Minds GmbH)Cookie duration: 90 (days).Data collected and processed: IP addresses, Device characteristics, Device identifiers, Probabilistic identifiers, Browsing and interaction data, User-provided data, Non-precise location data, Precise location data, Users’ profiles, Privacy choicesmoreCookie duration resets each session. Uses other forms of storage.View details | Storage details | Privacy policy Active Agent (Virtual Minds GmbH)Cookie duration: 90 (days).Data collected and processed: IP addresses, Device characteristics, Device identifiers, Probabilistic identifiers, Browsing and interaction data, User-provided data, Non-precise location data, Precise location data, Users’ profiles, Privacy choicesmoreCookie duration resets each session. Uses other forms of storage.View details | Storage details | Privacy policy EquativCookie duration: 366 (days).Data collected and processed: IP addresses, Device characteristics, Device identifiers, Probabilistic identifiers, Authentication-derived identifiers, Browsing and interaction data, Non-precise location data, Precise location data, Users’ profiles, Privacy choicesmoreCookie duration resets each session. Uses other forms of storage.View details | Storage details | Privacy policy Adform A/SCookie duration: 3650 (days).Data collected and processed: IP addresses, Device characteristics, Device identifiers, Probabilistic identifiers, Authentication-derived identifiers, Browsing and interaction data, User-provided data, Non-precise location data, Users’ profiles, Privacy choicesmoreCookie duration resets each session. Uses other forms of storage.View details | Storage details | Privacy policy Magnite, Inc. Cookie duration: 365 (days).Data collected and processed: IP addresses, Device characteristics, Device identifiers, Probabilistic identifiers, Browsing and interaction data, Non-precise location data, Precise location data, Privacy choicesmoreCookie duration resets each session. Uses other forms of storage.View details | Storage details | Privacy policy RATEGAIN ADARA INCCookie duration: 365 (days).Data collected and processed: IP addresses, Device characteristics, Device identifiers, Authentication-derived identifiers, Browsing and interaction data, User-provided data, Non-precise location data, Users’ profiles, Privacy choicesmoreCookie duration resets each session. View details | Storage details | Privacy policy Sift Media, IncDoesn't use cookies.Data collected and processed: IP addresses, Device characteristics, Device identifiers, Non-precise location data, Precise location datamoreView details | Privacy policy Lumen Research LimitedDoesn't use cookies.Data collected and processed: IP addresses, Device characteristics, Browsing and interaction data, Non-precise location data, Privacy choicesmoreUses other forms of storage.View details | Privacy policy OpenXCookie duration: 365 (days).Data collected and processed: IP addresses, Device characteristics, Device identifiers, Browsing and interaction data, Non-precise location data, Privacy choicesmoreCookie duration resets each session. Uses other forms of storage.View details | Storage details | Privacy policy Yieldlab (Virtual Minds GmbH)Cookie duration: 90 (days).Data collected and processed: IP addresses, Device characteristics, Device identifiers, Probabilistic identifiers, Browsing and interaction data, User-provided data, Non-precise location data, Precise location data, Users’ profiles, Privacy choicesmoreCookie duration resets each session. Uses other forms of storage.View details | Storage details | Privacy policy Simplifi Holdings LLCCookie duration: 366 (days).Data collected and processed: IP addresses, Device identifiers, Precise location datamoreUses other forms of storage.View details | Privacy policy PubMatic, IncCookie duration: 1827 (days).Data collected and processed: IP addresses, Device characteristics, Device identifiers, Probabilistic identifiers, Authentication-derived identifiers, Browsing and interaction data, User-provided data, Non-precise location data, Precise location data, Users’ profiles, Privacy choicesmoreCookie duration resets each session. Uses other forms of storage.View details | Storage details | Privacy policy Comscore B.V.Cookie duration: 720 (days).Data collected and processed: IP addresses, Device characteristics, Device identifiers, Probabilistic identifiers, Authentication-derived identifiers, Browsing and interaction data, User-provided data, Privacy choicesmoreCookie duration resets each session. Uses other forms of storage.View details | Privacy policy FlashtalkingCookie duration: 730 (days).Data collected and processed: IP addresses, Device characteristics, Device identifiers, Probabilistic identifiers, Authentication-derived identifiers, Browsing and interaction data, Non-precise location data, Users’ profiles, Privacy choicesmoreCookie duration resets each session. View details | Privacy policy Sharethrough, IncCookie duration: 30 (days).Data collected and processed: IP addresses, Device characteristics, Device identifiers, Browsing and interaction data, Non-precise location data, Users’ profiles, Privacy choicesmoreCookie duration resets each session. Uses other forms of storage.View details | Storage details | Privacy policy PulsePoint, Inc.Cookie duration: 1830 (days).Data collected and processed: IP addresses, Device characteristics, Device identifiersmoreCookie duration resets each session. Uses other forms of storage.View details | Privacy policy Smaato, Inc.Cookie duration: 21 (days).Data collected and processed: IP addresses, Device characteristics, Device identifiers, Authentication-derived identifiers, Browsing and interaction data, User-provided data, Non-precise location data, Users’ profiles, Privacy choicesmoreCookie duration resets each session. Uses other forms of storage.View details | Storage details | Privacy policy Crimtan Holdings LimitedCookie duration: 365 (days).Data collected and processed: IP addresses, Device characteristics, Device identifiers, Probabilistic identifiers, Authentication-derived identifiers, Browsing and interaction data, User-provided data, Non-precise location data, Precise location data, Users’ profiles, Privacy choicesmoreCookie duration resets each session. View details | Privacy policy Criteo SACookie duration: 390 (days).Data collected and processed: IP addresses, Device characteristics, Device identifiers, Probabilistic identifiers, Authentication-derived identifiers, Browsing and interaction data, Non-precise location data, Users’ profiles, Privacy choicesmoreUses other forms of storage.View details | Storage details | Privacy policy Adloox SADoesn't use cookies.Data collected and processed: IP addresses, Device characteristics, Device identifiers, Probabilistic identifiers, Browsing and interaction data, Non-precise location datamoreUses other forms of storage.View details | Privacy policy LiveRampCookie duration: 3653 (days).Data collected and processed: IP addresses, Device characteristics, Device identifiers, Authentication-derived identifiers, Browsing and interaction data, Non-precise location data, Privacy choicesmoreCookie duration resets each session. Uses other forms of storage.View details | Storage details | Privacy policy WPP MediaCookie duration: 395 (days).Data collected and processed: IP addresses, Device characteristics, Device identifiers, Probabilistic identifiers, Authentication-derived identifiers, Browsing and interaction data, Non-precise location data, Precise location data, Privacy choicesmoreCookie duration resets each session. View details | Storage details | Privacy policy Sonobi, IncCookie duration: 365 (days).Data collected and processed: IP addresses, Device identifiers, Non-precise location datamoreCookie duration resets each session. View details | Storage details | Privacy policy LoopMe LimitedCookie duration: 90 (days).Data collected and processed: IP addresses, Device characteristics, Device identifiers, Probabilistic identifiers, Browsing and interaction data, User-provided data, Non-precise location data, Precise location data, Users’ profiles, Privacy choicesmoreCookie duration resets each session. Uses other forms of storage.View details | Storage details | Privacy policy Dynata LLCCookie duration: 365 (days).Data collected and processed: IP addresses, Device characteristics, Device identifiers, Authentication-derived identifiers, Browsing and interaction data, User-provided data, Non-precise location data, Users’ profiles, Privacy choicesmoreCookie duration resets each session. View details | Storage details | Privacy policy Ask LocalaDoesn't use cookies.Data collected and processed: IP addresses, Device characteristics, Device identifiers, Non-precise location data, Precise location data, Privacy choicesmoreUses other forms of storage.View details | Privacy policy AziraDoesn't use cookies.Data collected and processed: IP addresses, Device characteristics, Device identifiers, Browsing and interaction data, Non-precise location data, Precise location data, Users’ profiles, Privacy choicesmoreUses other forms of storage.View details | Privacy policy DoubleVerify Inc.​Doesn't use cookies.Data collected and processed: IP addresses, Device characteristics, Probabilistic identifiers, Browsing and interaction data, Non-precise location data, Privacy choicesmoreView details | Privacy policy BIDSWITCH GmbHCookie duration: 365 (days).Data collected and processed: IP addresses, Device characteristics, Device identifiers, Probabilistic identifiers, Authentication-derived identifiers, Browsing and interaction data, Non-precise location data, Precise location data, Privacy choicesmoreCookie duration resets each session. Uses other forms of storage.View details | Storage details | Privacy policy IPONWEB GmbHCookie duration: 365 (days).Data collected and processed: IP addresses, Device characteristics, Device identifiers, Authentication-derived identifiers, Browsing and interaction data, User-provided data, Non-precise location data, Privacy choicesmoreCookie duration resets each session. Uses other forms of storage.View details | Privacy policy NextRoll, Inc.Cookie duration: 395 (days).Data collected and processed: IP addresses, Device characteristics, Device identifiers, Browsing and interaction data, User-provided data, Non-precise location data, Users’ profiles, Privacy choicesmoreCookie duration resets each session. View details | Storage details | Privacy policy Media.net Advertising FZ-LLCCookie duration: 396 (days).Data collected and processed: IP addresses, Device characteristics, Device identifiers, Probabilistic identifiers, Authentication-derived identifiers, Browsing and interaction data, User-provided data, Non-precise location data, Users’ profiles, Privacy choicesmoreCookie duration resets each session. Uses other forms of storage.View details | Privacy policy LiveIntent Inc.Cookie duration: 731 (days).Data collected and processed: IP addresses, Device characteristics, Device identifiers, Authentication-derived identifiers, Browsing and interaction data, Privacy choicesmoreCookie duration resets each session. Uses other forms of storage.View details | Storage details | Privacy policy Basis Global Technologies, Inc.Cookie duration: 365 (days).Data collected and processed: IP addresses, Device characteristics, Device identifiers, Authentication-derived identifiers, Browsing and interaction data, Non-precise location data, Precise location data, Users’ profiles, Privacy choicesmoreCookie duration resets each session. View details | Privacy policy Seedtag Advertising S.LCookie duration: 365 (days).Data collected and processed: IP addresses, Device characteristics, Device identifiers, Browsing and interaction data, Non-precise location data, Privacy choicesmoreCookie duration resets each session. Uses other forms of storage.View details | Storage details | Privacy policy SMADEX, S.L.U.Cookie duration: 365 (days).Data collected and processed: IP addresses, Device characteristics, Device identifiers, Probabilistic identifiers, User-provided data, Non-precise location data, Users’ profiles, Privacy choicesmoreCookie duration resets each session. View details | Privacy policy Bombora Inc.Cookie duration: 365 (days).Data collected and processed: IP addresses, Device characteristics, Device identifiers, Authentication-derived identifiers, Browsing and interaction data, Non-precise location data, Users’ profilesmoreCookie duration resets each session. Uses other forms of storage.View details | Storage details | Privacy policy Outbrain UK.Cookie duration: 1825 (days).Data collected and processed: IP addresses, Device characteristics, Device identifiers, Probabilistic identifiers, Browsing and interaction data, Non-precise location data, Users’ profiles, Privacy choicesmoreCookie duration resets each session. Uses other forms of storage.View details | Storage details | Privacy policy Yieldmo, Inc.Cookie duration: 365 (days).Data collected and processed: IP addresses, Device characteristics, Device identifiers, Probabilistic identifiers, Authentication-derived identifiers, Browsing and interaction data, Non-precise location data, Users’ profiles, Privacy choicesmoreCookie duration resets each session. View details | Storage details | Privacy policy A Million AdsDoesn't use cookies.Data collected and processed: IP addresses, Device characteristicsmoreView details | Storage details | Privacy policy Remerge GmbHDoesn't use cookies.Data collected and processed: IP addresses, Device characteristics, Device identifiers, Browsing and interaction data, Non-precise location datamoreUses other forms of storage.View details | Privacy policy Affle Iberia SLCookie duration: 730 (days).Data collected and processed: IP addresses, Device characteristics, Device identifiers, Probabilistic identifiers, Non-precise location data, Precise location data, Privacy choicesmoreCookie duration resets each session. Uses other forms of storage.View details | Storage details | Privacy policy Magnite CTV, Inc.Cookie duration: 366 (days).Data collected and processed: IP addresses, Device characteristics, Device identifiers, Probabilistic identifiers, Browsing and interaction data, Non-precise location data, Precise location data, Privacy choicesmoreCookie duration resets each session. Uses other forms of storage.View details | Storage details | Privacy policy Delta Projects ABCookie duration: 365 (days).Data collected and processed: IP addresses, Device characteristics, Device identifiers, Probabilistic identifiers, Authentication-derived identifiers, Browsing and interaction data, User-provided data, Non-precise location data, Precise location data, Users’ profiles, Privacy choicesmoreView details | Storage details | Privacy policy Zemanta Inc.Cookie duration: 1825 (days).Data collected and processed: IP addresses, Device characteristics, Device identifiers, Probabilistic identifiers, Browsing and interaction data, Non-precise location data, Users’ profiles, Privacy choicesmoreCookie duration resets each session. Uses other forms of storage.View details | Storage details | Privacy policy AcuityAds Inc.Cookie duration: 365 (days).Data collected and processed: IP addresses, Device characteristics, Device identifiers, Authentication-derived identifiers, Browsing and interaction data, Non-precise location data, Users’ profiles, Privacy choicesmoreCookie duration resets each session. View details | Storage details | Privacy policy Rockerbox, IncCookie duration: 30 (days).Data collected and processed: IP addresses, Device characteristics, Device identifiers, Probabilistic identifiers, Authentication-derived identifiers, Browsing and interaction data, User-provided data, Privacy choicesmoreUses other forms of storage.View details | Storage details | Privacy policy StackAdapt Inc.Cookie duration: 365 (days).Data collected and processed: IP addresses, Device characteristics, Device identifiers, Probabilistic identifiers, Browsing and interaction data, Non-precise location data, Precise location data, Users’ profiles, Privacy choicesmoreCookie duration resets each session. Uses other forms of storage.View details | Storage details | Privacy policy OneTag LimitedCookie duration: 396 (days).Data collected and processed: IP addresses, Device characteristics, Device identifiers, Browsing and interaction data, Non-precise location data, Privacy choicesmoreCookie duration resets each session. Uses other forms of storage.View details | Storage details | Privacy policy Smartology LimitedDoesn't use cookies.Data collected and processed: IP addressesmoreUses other forms of storage.View details | Privacy policy Improve DigitalCookie duration: 90 (days).Data collected and processed: IP addresses, Device characteristics, Device identifiers, Probabilistic identifiers, Authentication-derived identifiers, Browsing and interaction data, User-provided data, Non-precise location data, Precise location data, Users’ profiles, Privacy choicesmoreCookie duration resets each session. View details | Storage details | Privacy policy Adobe Advertising CloudCookie duration: 730 (days).Data collected and processed: IP addresses, Device identifiers, Authentication-derived identifiers, Privacy choicesmoreCookie duration resets each session. View details | Storage details | Privacy policy Bannerflow ABCookie duration: 366 (days).Data collected and processed: IP addresses, Device characteristics, Non-precise location data, Privacy choicesmoreCookie duration resets each session. View details | Privacy policy TabMo SASCookie duration: 90 (days).Data collected and processed: IP addresses, Device characteristics, Device identifiers, Probabilistic identifiers, Browsing and interaction data, User-provided data, Non-precise location data, Precise location data, Users’ profiles, Privacy choicesmoreCookie duration resets each session. Uses other forms of storage.View details | Storage details | Privacy policy Integral Ad Science (incorporating ADmantX)Doesn't use cookies.Data collected and processed: IP addresses, Device characteristics, Browsing and interaction data, Non-precise location data, Privacy choicesmoreView details | Privacy policy WizalyCookie duration: 365 (days).Data collected and processed: IP addresses, Device characteristics, Authentication-derived identifiers, Browsing and interaction data, Non-precise location data, Privacy choicesmoreCookie duration resets each session. Uses other forms of storage.View details | Storage details | Privacy policy WeboramaCookie duration: 393 (days).Data collected and processed: IP addresses, Device characteristics, Device identifiers, Probabilistic identifiers, Authentication-derived identifiers, Browsing and interaction data, User-provided data, Non-precise location data, Precise location data, Users’ profiles, Privacy choicesmoreUses other forms of storage.View details | Storage details | Privacy policy Readpeak OyDoesn't use cookies.Data collected and processed: IP addresses, Device characteristics, Device identifiers, Probabilistic identifiers, Browsing and interaction data, Non-precise location data, Privacy choicesmoreUses other forms of storage.View details | Privacy policy Jivox CorporationCookie duration: 365 (days).Data collected and processed: IP addresses, Device identifiers, Browsing and interaction data, Non-precise location data, Precise location data, Users’ profiles, Privacy choicesmoreCookie duration resets each session. View details | Storage details | Privacy policy Sojern, Inc.Cookie duration: 365 (days).Data collected and processed: IP addresses, Device characteristics, Device identifiers, Probabilistic identifiers, Browsing and interaction data, Non-precise location data, Users’ profiles, Privacy choicesmoreCookie duration resets each session. Uses other forms of storage.View details | Storage details | Privacy policy Polar Mobile Group Inc.Doesn't use cookies.Data collected and processed: IP addresses, Device characteristics, Browsing and interaction data, Privacy choicesmoreView details | Privacy policy On Device Research LimitedCookie duration: 30 (days).Data collected and processed: IP addresses, Device characteristics, Device identifiers, Browsing and interaction data, User-provided data, Non-precise location data, Precise location datamoreCookie duration resets each session. View details | Storage details | Privacy policy Exactag GmbHCookie duration: 180 (days).Data collected and processed: IP addresses, Device characteristics, Device identifiers, Authentication-derived identifiers, Browsing and interaction data, Privacy choicesmoreCookie duration resets each session. View details | Privacy policy Celtra Inc.Doesn't use cookies.Data collected and processed: IP addresses, Device characteristics, Device identifiers, Precise location datamoreUses other forms of storage.View details | Storage details | Privacy policy ADTIMING TECHNOLOGY PTE. LTDCookie duration: 30 (days).Data collected and processed: IP addresses, Device characteristics, Device identifiers, Browsing and interaction datamoreCookie duration resets each session. Uses other forms of storage.View details | Storage details | Privacy policy Gemius SACookie duration: 1825 (days).Data collected and processed: IP addresses, Device characteristics, Device identifiers, Browsing and interaction data, Users’ profiles, Privacy choicesmoreCookie duration resets each session. Uses other forms of storage.View details | Storage details | Privacy policy InMobi Pte LtdDoesn't use cookies.Data collected and processed: IP addresses, Device characteristics, Device identifiers, Probabilistic identifiers, Browsing and interaction data, User-provided data, Non-precise location data, Precise location data, Users’ profilesmoreUses other forms of storage.View details | Privacy policy The Kantar Group LimitedCookie duration: 914 (days).Data collected and processed: IP addresses, Device characteristics, Device identifiers, Browsing and interaction data, Non-precise location data, Privacy choicesmoreCookie duration resets each session. Uses other forms of storage.View details | Privacy policy Samba TV UK LimitedCookie duration: 390 (days).Data collected and processed: IP addresses, Device identifiers, Probabilistic identifiers, Browsing and interaction data, Non-precise location data, Users’ profiles, Privacy choicesmoreCookie duration resets each session. View details | Storage details | Privacy policy Nielsen Media Research Ltd.Cookie duration: 120 (days).Data collected and processed: IP addresses, Device characteristics, Device identifiers, Browsing and interaction data, User-provided data, Privacy choicesmoreCookie duration resets each session. Uses other forms of storage.View details | Storage details | Privacy policy RevXDoesn't use cookies.Data collected and processed: IP addresses, Device characteristics, Device identifiers, Browsing and interaction data, Users’ profiles, Privacy choicesmoreView details | Privacy policy Pixalate, Inc.Cookie duration: 728 (days).Data collected and processed: IP addresses, Device characteristics, Device identifiers, Browsing and interaction data, Non-precise location datamoreView details | Storage details | Privacy policy Triapodi Ltd. d/b/a Digital TurbineDoesn't use cookies.Data collected and processed: IP addresses, Device characteristics, Device identifiers, Privacy choicesmoreView details | Privacy policy AudienceProject A/SCookie duration: 365 (days).Data collected and processed: IP addresses, Device characteristics, Device identifiers, Probabilistic identifiers, Authentication-derived identifiers, Browsing and interaction data, User-provided data, Non-precise location data, Users’ profiles, Privacy choicesmoreCookie duration resets each session. Uses other forms of storage.View details | Storage details | Privacy policy Eulerian TechnologiesCookie duration: 390 (days).Data collected and processed: IP addresses, Device characteristics, Device identifiers, Authentication-derived identifiers, Browsing and interaction data, User-provided data, Users’ profiles, Privacy choicesmoreCookie duration resets each session. Uses other forms of storage.View details | Privacy policy Seenthis ABDoesn't use cookies.Data collected and processed: IP addresses, Device characteristicsmoreView details | Privacy policy travel audience GmbHCookie duration: 397 (days).Data collected and processed: IP addresses, Device characteristics, Device identifiers, Probabilistic identifiers, Authentication-derived identifiers, Browsing and interaction data, Non-precise location data, Precise location data, Users’ profiles, Privacy choicesmoreCookie duration resets each session. Uses other forms of storage.View details | Storage details | Privacy policy HUMANDoesn't use cookies.Data collected and processed: IP addresses, Device characteristics, Device identifiers, Probabilistic identifiers, Non-precise location datamoreView details | Privacy policy Streamwise srlCookie duration: 366 (days).Data collected and processed: IP addresses, Device characteristics, Device identifiers, Authentication-derived identifiers, Browsing and interaction data, User-provided data, Non-precise location data, Users’ profiles, Privacy choicesmoreCookie duration resets each session. Uses other forms of storage.View details | Storage details | Privacy policy Innovid LLCCookie duration: 90 (days).Data collected and processed: IP addresses, Device characteristics, Device identifiers, Browsing and interaction data, Non-precise location data, Privacy choicesmoreCookie duration resets each session. View details | Storage details | Privacy policy Zeta Global Corp.Cookie duration: 390 (days).Data collected and processed: IP addresses, Device characteristics, Device identifiers, Probabilistic identifiers, Browsing and interaction data, User-provided data, Non-precise location data, Users’ profiles, Privacy choicesmoreView details | Storage details | Privacy policy MadingtonDoesn't use cookies.Data collected and processed: IP addresses, Device characteristics, Probabilistic identifiers, Non-precise location datamoreView details | Privacy policy Opinary (Affinity Global GmbH)Cookie duration: 60 (days).Data collected and processed: IP addresses, Device characteristics, Browsing and interaction data, User-provided data, Non-precise location data, Users’ profiles, Privacy choicesmoreUses other forms of storage.View details | Storage details | Privacy policy GumGum, Inc.Cookie duration: 90 (days).Data collected and processed: IP addresses, Device characteristics, Browsing and interaction data, Non-precise location datamoreCookie duration resets each session. View details | Storage details | Privacy policy Lucid Holdings, LLCCookie duration: 730 (days).Data collected and processed: IP addresses, Device characteristics, Device identifiers, Browsing and interaction data, Privacy choicesmoreUses other forms of storage.View details | Privacy policy Jampp LTDDoesn't use cookies.Data collected and processed: IP addresses, Device characteristics, Device identifiers, Precise location datamoreUses other forms of storage.View details | Privacy policy Realtime Technologies GmbHDoesn't use cookies.Data collected and processed: IP addresses, Device characteristics, Device identifiers, Probabilistic identifiers, User-provided data, Non-precise location data, Privacy choicesmoreUses other forms of storage.View details | Privacy policy DeepIntent, Inc.Cookie duration: 548 (days).Data collected and processed: IP addresses, Device characteristics, Device identifiers, Non-precise location datamoreCookie duration resets each session. View details | Storage details | Privacy policy HappydemicsDoesn't use cookies.Data collected and processed: IP addresses, Device characteristics, Device identifiers, Probabilistic identifiers, Authentication-derived identifiers, User-provided data, Non-precise location data, Users’ profiles, Privacy choicesmoreUses other forms of storage.View details | Privacy policy Otto GmbH & Co. KGaACookie duration: 365 (days).Data collected and processed: IP addresses, Device identifiers, Browsing and interaction data, User-provided data, Users’ profiles, Privacy choicesmoreCookie duration resets each session. Uses other forms of storage.View details | Storage details | Privacy policy Adobe Audience Manager, Adobe Experience PlatformCookie duration: 180 (days).Data collected and processed: IP addresses, Device characteristics, Device identifiers, Probabilistic identifiers, Authentication-derived identifiers, Browsing and interaction data, User-provided data, Non-precise location data, Precise location data, Users’ profiles, Privacy choicesmoreCookie duration resets each session. View details | Storage details | Privacy policy CHEQ AI TECHNOLOGIESCookie duration: 365 (days).Data collected and processed: IP addresses, Device characteristicsmoreCookie duration resets each session. View details | Storage details | Privacy policy Localsensor B.V.Doesn't use cookies.Data collected and processed: IP addresses, Device characteristics, Device identifiers, Non-precise location data, Precise location data, Privacy choicesmoreUses other forms of storage.View details | Privacy policy Adnami ApsDoesn't use cookies.Data collected and processed: IP addresses, Non-precise location data, Privacy choicesmoreView details | Privacy policy BlueCookie duration: 365 (days).Data collected and processed: IP addresses, Device characteristics, Browsing and interaction data, Non-precise location data, Precise location data, Users’ profiles, Privacy choicesmoreCookie duration resets each session. View details | Storage details | Privacy policy Relay42 Netherlands B.V.Cookie duration: 730 (days).Data collected and processed: IP addresses, Device characteristics, Device identifiers, Probabilistic identifiers, Browsing and interaction data, User-provided data, Users’ profiles, Privacy choicesmoreView details | Storage details | Privacy policy MobsuccessCookie duration: 365 (days).Data collected and processed: IP addresses, Device characteristics, Device identifiers, Browsing and interaction data, User-provided data, Non-precise location data, Precise location data, Users’ profiles, Privacy choicesmoreCookie duration resets each session. Uses other forms of storage.View details | Storage details | Privacy policy Liftoff Monetize and Vungle ExchangeDoesn't use cookies.Data collected and processed: IP addresses, Device characteristics, Device identifiers, Probabilistic identifiers, Authentication-derived identifiers, Browsing and interaction data, User-provided data, Non-precise location data, Users’ profiles, Privacy choicesmoreUses other forms of storage.View details | Privacy policy The MediaGrid Inc.Cookie duration: 365 (days).Data collected and processed: IP addresses, Device characteristics, Device identifiers, Probabilistic identifiers, Browsing and interaction data, Non-precise location data, Precise location data, Privacy choicesmoreCookie duration resets each session. Uses other forms of storage.View details | Storage details | Privacy policy Go.pl sp. z o.o.Cookie duration: 3000 (days).Data collected and processed: IP addresses, Device characteristics, Device identifiers, Probabilistic identifiers, Authentication-derived identifiers, Browsing and interaction data, User-provided data, Non-precise location data, Users’ profiles, Privacy choicesmoreCookie duration resets each session. Uses other forms of storage.View details | Storage details | Privacy policy HyperTV, Inc.Cookie duration: 3650 (days).Data collected and processed: IP addresses, Device characteristics, Probabilistic identifiers, Browsing and interaction data, User-provided data, Non-precise location data, Privacy choicesmoreCookie duration resets each session. View details | Storage details | Privacy policy Appier PTE LtdCookie duration: 365 (days).Data collected and processed: IP addresses, Device characteristics, Device identifiers, Authentication-derived identifiers, Browsing and interaction data, User-provided data, Non-precise location data, Precise location data, Users’ profiles, Privacy choicesmoreCookie duration resets each session. Uses other forms of storage.View details | Storage details | Privacy policy 6Sense Insights, Inc.Cookie duration: 731 (days).Data collected and processed: IP addresses, Probabilistic identifiers, Browsing and interaction data, Non-precise location data, Users’ profilesmoreUses other forms of storage.View details | Storage details | Privacy policy Google Advertising ProductsCookie duration: 396 (days).Data collected and processed: IP addresses, Device characteristics, Device identifiers, Authentication-derived identifiers, Browsing and interaction data, User-provided data, Non-precise location data, Users’ profiles, Privacy choicesmoreUses other forms of storage.View details | Storage details | Privacy policy GfK GmbHCookie duration: 730 (days).Data collected and processed: IP addresses, Device characteristics, Device identifiers, Authentication-derived identifiers, Browsing and interaction data, User-provided data, Non-precise location data, Users’ profiles, Privacy choicesmoreUses other forms of storage.View details | Storage details | Privacy policy Clinch Labs LTDCookie duration: 730 (days).Data collected and processed: IP addresses, Device characteristics, Device identifiers, Probabilistic identifiers, Browsing and interaction data, Non-precise location data, Users’ profiles, Privacy choicesmoreCookie duration resets each session. View details | Storage details | Privacy policy Amazon AdsCookie duration: 396 (days).Data collected and processed: IP addresses, Device characteristics, Device identifiers, Authentication-derived identifiers, Browsing and interaction data, Non-precise location data, Users’ profiles, Privacy choicesmoreCookie duration resets each session. Uses other forms of storage.View details | Storage details | Privacy policy LinkedIn Ireland Unlimited CompanyCookie duration: 365 (days).Data collected and processed: IP addresses, Device characteristics, Device identifiers, Authentication-derived identifiers, Browsing and interaction data, Non-precise location data, Privacy choicesmoreCookie duration resets each session. Uses other forms of storage.View details | Storage details | Privacy policy Moloco, Inc.Cookie duration: 730 (days).Data collected and processed: IP addresses, Device characteristics, Device identifiers, Non-precise location datamoreCookie duration resets each session. Uses other forms of storage.View details | Storage details | Privacy policy Mintegral International LimitedDoesn't use cookies.Data collected and processed: IP addresses, Device characteristics, Device identifiers, Browsing and interaction data, Privacy choicesmoreUses other forms of storage.View details | Privacy policy PRECISO SRLCookie duration: 360 (days).Data collected and processed: IP addresses, Device characteristics, Device identifiers, Probabilistic identifiers, Browsing and interaction data, User-provided data, Non-precise location data, Users’ profilesmoreCookie duration resets each session. Uses other forms of storage.View details | Storage details | Privacy policy Pelmorex Corp.Cookie duration: 365 (days).Data collected and processed: IP addresses, Device characteristics, Device identifiers, Probabilistic identifiers, Browsing and interaction data, Non-precise location data, Users’ profiles, Privacy choicesmoreView details | Storage details | Privacy policy Extreme Reach, IncCookie duration: 180 (days).Data collected and processed: IP addresses, Device characteristics, Device identifiers, Browsing and interaction data, Non-precise location data, Privacy choicesmoreCookie duration resets each session. View details | Privacy policy Somplo LtdDoesn't use cookies.Data collected and processed: IP addresses, Device characteristicsmoreView details | Privacy policy Adelaide Metrics IncDoesn't use cookies.Data collected and processed: Device characteristics, Browsing and interaction datamoreView details | Privacy policy Baidu (Hong Kong) LimitedCookie duration: 366 (days).Data collected and processed: Browsing and interaction datamoreView details | Storage details | Privacy policy Arpeely Ltd.Cookie duration: 90 (days).Data collected and processed: IP addressesmoreCookie duration resets each session. View details | Privacy policy Adventure Media SARLCookie duration: 3650 (days).Data collected and processed: IP addresses, Device characteristics, Device identifiers, Browsing and interaction data, Non-precise location data, Privacy choicesmoreCookie duration resets each session. View details | Storage details | Privacy policy Microsoft AdvertisingCookie duration: 396 (days).Data collected and processed: IP addresses, Device characteristics, Device identifiers, Probabilistic identifiers, Authentication-derived identifiers, Browsing and interaction data, User-provided data, Non-precise location data, Users’ profiles, Privacy choicesmoreUses other forms of storage.View details | Storage details | Privacy policy Opera Software Ireland LimitedCookie duration: 365 (days).Data collected and processed: IP addresses, Device identifiers, Privacy choicesmoreCookie duration resets each session. View details | Storage details | Privacy policy xpln.ai SASDoesn't use cookies.Data collected and processed: IP addresses, Device characteristics, Browsing and interaction data, Non-precise location data, Privacy choicesmoreView details | Privacy policy ABCS INSIGHTSDoesn't use cookies.Data collected and processed: IP addressesmoreView details | Privacy policy Affle IncDoesn't use cookies.Data collected and processed: IP addresses, Device identifiersmoreView details | Privacy policy Admaster Private LimitedCookie duration: 365 (days).Data collected and processed: IP addresses, Device identifiers, Probabilistic identifiers, Browsing and interaction data, Non-precise location data, Privacy choicesmoreUses other forms of storage.View details | Storage details | Privacy policy Ad partners ArtsaiPrivacy policy MetaPrivacy policy C3 MetricsPrivacy policy Roku Advertising ServicesPrivacy policy eBayPrivacy policy EvidonPrivacy policy GroovinAdsPrivacy policy SizmekPrivacy policy SmartPrivacy policy SMN CorporationPrivacy policy TrustArcPrivacy policy CyberAgentPrivacy policy MicroAdPrivacy policy AdMaximPrivacy policy MagnitePrivacy policy YangoPrivacy policy Singular Labs Inc.Privacy policy NeustarPrivacy policy NetquestPrivacy policy CloudflarePrivacy policy Salesforce DMPPrivacy policy BridgewellPrivacy policy AppLovin Corp.Privacy policy AdTheorent, Inc.Privacy policy RackspacePrivacy policy PlacedPrivacy policy AarkiPrivacy policy NinthDecimalPrivacy policy TreSensaPrivacy policy BigabidPrivacy policy Optimize LCC D.B.A Genius MonkeyPrivacy policy gskinnerPrivacy policy Yahoo! JapanPrivacy policy Chalk DigitalPrivacy policy jsdelivrPrivacy policy HockeyCurvePrivacy policy UpwavePrivacy policy IQMPrivacy policy fluctPrivacy policy ZucksPrivacy policy BideasePrivacy policy UNICORNPrivacy policy AdFalconPrivacy policy SupershipPrivacy policy Marketing Science Consulting Group, Inc.Privacy policy KoblerPrivacy policy AdstraPrivacy policy Persona.lyPrivacy policy Oracle Data CloudPrivacy policy ThrotlePrivacy policy ironSource MobilePrivacy policy MediaPalPrivacy policy Tuky DataPrivacy policy CONTXTFULPrivacy policy MarketCast LLCPrivacy policy LeadsRxPrivacy policy Pangle DSPPrivacy policy clean.ioPrivacy policy Intango Ltd.Privacy policy Unity AdsPrivacy policy Loblaw MediaPrivacy policy Ad LightningPrivacy policy LacunaPrivacy policy CoupangPrivacy policy Playable FactoryPrivacy policy Prism PartnerPrivacy policy TemuDSPPrivacy policy DISQOPrivacy policy Mercado LivrePrivacy policy

Guess You Like

Year-end holidays are on us and early birds can't wait!
Year-end holidays are on us and early birds can't wait!
A combination of unspent leave...
2025-10-29
A Bridge Divided
A Bridge Divided
FRANKFURT AN DER ODER, Germany...
2025-10-28
Mediators step up diplomacy after Gaza truce shaken
Mediators step up diplomacy after Gaza truce shaken
TCF vendors Exponential Inter...
2025-10-20